| Historial | Gato común europeo de 7 años. Tras escaparse vuelve cojo al 5º día. |
|---|---|
| Diagnostico | Luxación de rodilla con rotura de la mayor parte de los ligamentos de esta articulación incluido por lo menos el cruzado posterior. |
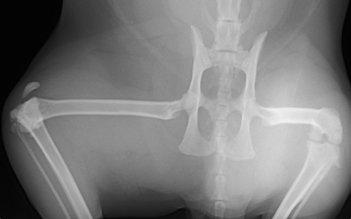
| Pruebas | La radiografía expone una amplia luxación femoro-tibial sin fracturas aunque con una gran inflamación de rodilla. La cápsula parece íntegra. El ligamento cruzado caudal está roto pero el craneal no es valorable. Obviamente en este caso hay grandes limitaciones para la exploración incluso bajo anestesia. |
| Tratamiento | No estamos ante un caso frecuente y se ve como la mejor alternativa la estabilización articular temporal ante un daño tan extenso. Este procedimiento se complementa con una cirugía extracapsular para la reparación del ligamento cruzado craneal. La limpieza intrarticular y retirada de restos de tejido dañado deberá contribuir a minimizar una futura artrosis. |

La radiografía tomada de urgencias con el animal despierto apunta hacia una lesión grave aunque poco clara sobre todo por lo infrecuente de la lesión.
La posición laterolateral nos da el detalle de lo que está pasando. A pesar de esto hay cierta movilidad de flexión de unos 30º.

El abordaje articular se realiza desde la meseta tibial y en toda la amplitud de la cápsula. Explorarando los meniscos nos encontramos con una imagen de roturas múltiples de ambos, medial y lateral. La reparación o menisquectomía parcial no son posibles.
A pesar de las tensiones soportadas el LCC no está roto completamente. Se decide ante la importante lesión su retirada completa desde su origen a inserción en la meseta.

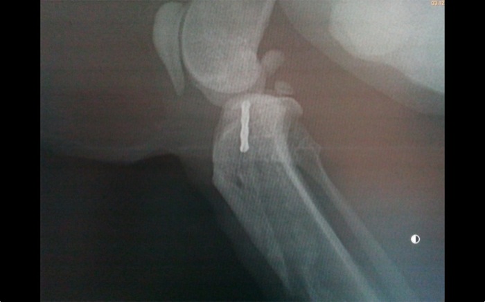
Una vez limpia la articulación de coágulos, fibrina, restos de ambos ligamentos cruzados y meniscos se implanta un clavo centrado y encima del surco rotuliano. El lugar de salida es exactamente en el origen del ligamento cruzado craneal para entrar posteriormente en la meseta tibial donde este ligamento debiera insertarse.

Se lleva a cabo una técnica de reparación extracapsular aunque en este punto no podemos valorar la tensión como en una reparación tradicional dado el bloqueo articular.
La artrodesis o anclaje articular temporal queda en la posición esperada en un segundo intento. Se realizó previamente una prueba con una aguja de Kirshner de pequeño calibre pero la dirección de salida no era idónea. Sí en un nuevo intento saliendo distal y por el centro de la cresta tibial.

El control habitual intraquirúrgico donde normalmente se valoran estabilidades, grados de movilidad, roces o no de los implantes, tensiones, etc. no es posible en este caso y es por ello que se tiene aún mas cuidado en conseguir una posición concreta de los implantes. No obstante recordemos que la inmovilidad articular impedirá cualquier lesión o roce en zonas de inserción del clavo.
El animal se mantuvo dentro de casa y se limitó en lo posible su movilidad sobre todo en alturas pero aparece al mes y medio de la intervención con este desplazamiento. Aunque la inmovilización de la rodilla se pensó para dos meses se decide liberar la articulación y valorar. Algunos autores recomiendan esperar entre 6 y 8 semanas.

En quirófano tras retirar el clavo tenemos una rodilla con movilidad disminuida en la flexión-extensión pero estable ante cualquier movilidad lateral o de rotación. La evolución no ha presentado complicaciones y ya en la revisión a las 48 h tenemos una buena evolución con un gato que se desplaza en consulta con igual destreza en ambos miembros posteriores.
Casos por orden de publicación: