| Historial | Se escapa de casa y vuelve al quinto día al jardín en muy mal estado. |
|---|---|
| Diagnostico | Fractura de fémur y cadera bilateral. |
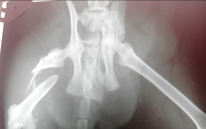
| Pruebas | La imagen radiográfica indica una fractura diafisaria de fémur con varios fragmentos, luxación sacroilícaca del mismo lado y fractura de ileon contralateral. A raíz de ello queda una estenosis secundaria del canal pélvico. |
| Tratamiento | Cirugía para implantar una placa en fémur derecho y otra en ileon izquierdo. |

Proyección ventrodorsal de cadera donde se aprecian las fracturas múltiples de fémur, púbis, isquion y fractura media de ileon con luxación del ileon derecho.
La proyección lateral tampoco nos augura una solución quirúrgica rápida. Se aprecia poco desplazamiento craneal del ileon derecho no fracturado.

Se colocan, con abordajes que se alienan desde la piel el fémur y el ileon, las placas correspondientes. El fémur presenta una amplia zona diafisaria media solo con la cortical posterior intacta lo que impide la colocación de tornillos en mas de un tercio de la longitud de la placa.
Aún así se consigue una estabilidad completa y fuerte del hueso dañado.
El ileon del mismo lado queda bien posicionado y aunque se valora una fijación adicional mediante 2 tornillos se descarta ante la aparente estabilidad. No se quiere prolongar el tiempo quirúrgico ante el estado aún delicado del paciente, también por ello se pospone la siguiente cirugía.

Dos días mas tarde se interviene la cadera contralateral dado que el paciente había evolucionado comiendo a las 12h y se empezaba a levantar y dar algún paso en la jaula de hospitalización.
La unión es satisfactoria y se normaliza e tamaño del canal pélvico.

La radiografía de control es buena y el paciente se recupera también rápido de esta segunda intervención. Aunque a veces el operar en uno o dos tiempos un paciente suponga una duda normalmente se opta por esta solución cuando el estado físico es delicado como en este caso.

A los 11 días el gato se desplaza por la consulta con bastante agilidad y sin deficits neurológicos visibles. La recuperación avanza mejorando las previsiones iniciales desde el principio dado los 5 días que parece haber pasado perdido hasta llegar en estas condiciones a su casa.
Casos por orden de publicación: